Fairmount Cemetery
Established: 1795
Location: 168 Cedar St, East Weymouth, Massachusetts 02189
Ownership: Private
Telephone: (781) 335-3223
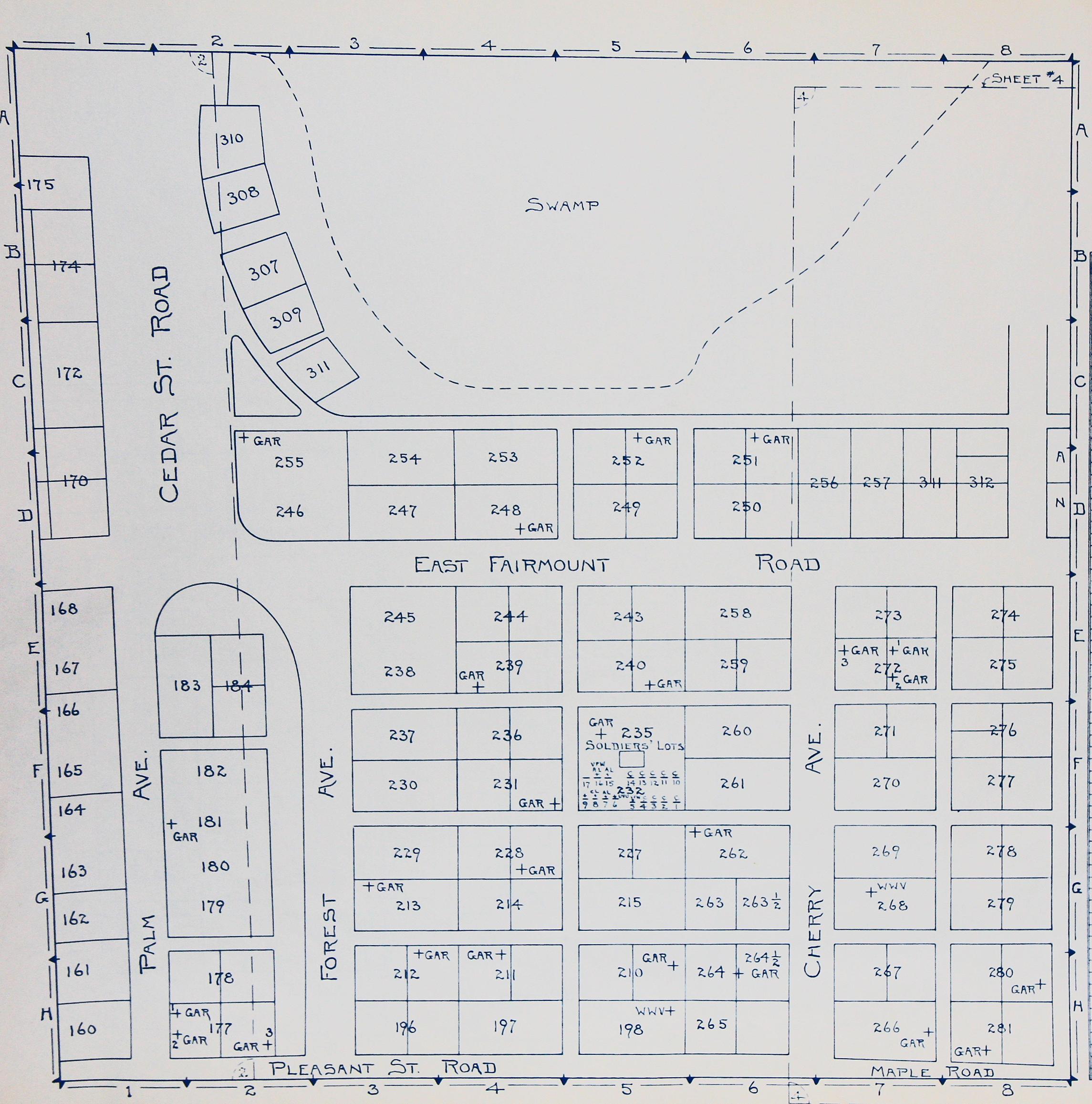
Plot maps: Master map | Section 1 | Section 2 | Section 3 | Section 4
Veterans Buried Here
| Name | Lot | Grave | Key | Avenue / Road | Sheet | Find A Grave # |
| Revolutionary War Bates, Robert | 27 | 2 | G-4 | Hawthorn Ave | 2 | 52520581 |
| War of 1812 Bates, Cotton | 95967446 | |||||
| Hawes, James | 135 | A-4 | Laurel Ave | 1 | 96020109 | |
| Healey, Samuel | 54 | F-2 | Elm Ave | 2 | 95129410 | |
| Civil War Andrus, Edward G. | 9 | 1 | A-5 | Magnolia Ave | 2 | 40229255 |
| Bartlett, George | 43 | B-3 | Walnut Ave | 2 | 94326014 | |
| Bates, John F. | 232 | 11 | F-5 | Cherry Ave | 3 | 94327976 |
| Bates, John W. | 99 | 2 | C-7 | Cypress Ave | 1 | 75362438 |
| Bates, Leavitt | 161 | H-7 | Linden Ave | 2 | 94328653 | |
| Bearce, Simeon | 49 | E-3 | Walnut Ave | 2 | 94329436 | |
| Belk, Harrison L. | 280 | H-8 | Cherry Ave | 3 | 69870021 | |
| Berry, Joseph N. | 70 | B-1 | Elm Ave | 2 | 95024860 | |
| Blanchard, Thomas S. | 86 | F-8 | Locust Ave | 1 | 94335340 | |
| Boodrue, John | 272 | 3 | E-7 | Cherry Ave | 3 | 69871536 |
| Burrell, Charles H. | 36 | 1 | B-4 | Hawthorn Ave | 2 | 94340235 |
| Burrell, David Bates | 112 | 2 | C-6 | Oak Ave | 1 | 93643973 |
| Burrell, John P. | 112 | 1 | C-6 | Oak Ave | 1 | 93361602 |
| Burrell, Joseph H., Jr. | 30 | F-4 | Hawthorn Ave | 2 | 94341167 | |
| Burrell, Martin D. | 85 | 2 | F-2 | Elm Ave | 2 | 94341682 |
| Burrell, Samuel E. | 232 | 12 | F-5 | Cherry Ave | 3 | 95025321 |
| Cain, Leonard W. | 19 | 2 | E-6 | Linden Ave | 2 | 95025466 |
| Cain, Stephen Jr. | 51 | F-3 | Walnut Ave | 2 | 52207998 | |
| Chapman, Daniel L. | 133 | 1 | A-5 | Acacia Ave | 1 | 75425220 |
| Clapp, Loring O. | 148 | 2 | B-3 | Willow Ave | 1 | 94350165 |
| Cole, George N. | 211 | G-4 | Forest Ave | 3 | 68896143 | |
| Cowing, Charles G. | 213 | G-3 | Forest Ave | 3 | 94353959 | |
| Cummings, William L. | 124 | E-5 | Acacia Ave | 1 | 94354866 | |
| Cushing, Francis H. | 255 | C-2 | E. Fairmount Rd | 3 | 70957132 | |
| Dailey, Israel A. | 56 | H-3 | Walnut Ave | 2 | 94431179 | |
| Davis, William H. | 154 | H-8 | Cypress Ave | 1 | 95481240 | |
| Denbroeder, Adrian | 139 | C-4 | Laurel Ave | 1 | 94435931 | |
| Denton, Samuel C. | 19 | 1 | E-5 | Magnolia Ave | 2 | 40229299 |
| Dinsmore, Frank A. | 232 | 14 | F-5 | Cherry Ave | 3 | 95027041 |
| Duval, Lewis | 146 | B-3 | Willow Ave | 1 | 94451553 | |
| Earle, Daniel C. | 266 | H-7 | Cherry Ave | 3 | 94920607 | |
| Eldridge, William H. | 281 | H-8 | Cherry Ave | 3 | 81822624 | |
| Faulkner, Harrison | 23 | 2 | H-5 | Magnolia Ave | 2 | 94452001 |
| Ford, Joseph P. | 72 | 2 | A-1 | Elm Ave | 2 | 95027858 |
| Freeman, William | 116 | F-6 | Oak Ave | 1 | 52510648 | |
| French, George W. | 47 | D-3 | Walnut Ave | 2 | 71482607 | |
| French, Samuel F. | 94452804 | |||||
| Gardner, Edward B. | 158 | 1 | H-4 | Hawthorn Ave | 2 | 92948045 |
| Gardner, Jacob Jr. | 105 | A-6 | Oak Ave | 1 | 94092809 | |
| Gardner, Jason | 181 | F-8 | Palm Ave | 2 | 68896181 | |
| Gardner, Nelson W. | 9 | 2 | A-5 | Magnolia Ave | 2 | 40229335 |
| Garey, Andrew J. | 1 | 1 | H-6 | Linden Ave | 2 | 94453733 |
| Gildersleeve, William H. | 232 | 3 | F-5 | Cherry Ave | 3 | 95029448 |
| Goodwin, William F. | 10 | 1 | A-5 | Magnolia Ave | 2 | 40229338 |
| Gould, Joseph F. | 140 | C-4 | Laurel Ave | 1 | 95029896 | |
| Gurney, Willard | 87 | G-2 | Elm Ave | 2 | 52509362 | |
| Harrington, Minot J. | 99 | 1 | B-7 | Cypress Ave | 1 | 94468436 |
| Hathaway, William B. | 251 | C-6 | E. Fairmount Rd | 3 | 70957093 | |
| Hayden, Albert Clinton | 20 | F-5 | Magnolia Ave | 2 | 94475540 | |
| Hayward, Charles W. L. | 45 | C-3 | Walnut Ave | 2 | 94907439 | |
| Healey, Charles E. | 59 | 3 | G-2 | Elm Ave | 2 | 95030945 |
| Healey, George R. | 59 | 2 | G-2 | Elm Ave | 2 | 95031171 |
| Healey, James H. | 54 | F-3 | Walnut Ave | 2 | 95031693 | |
| Healey, Warren M. | 59 | 1 | G-2 | Elm Ave | 2 | 95031892 |
| Henry, William | 232 | 2 | F-5 | Cherry Ave | 3 | 95420995 |
| Higgins, John J. | 272 | 2 | E-7 | Cherry Ave | 3 | 95032758 |
| Higgins, Joseph | 272 | 1 | E-7 | Cherry Ave | 3 | 95033106 |
| Holbrook, William O. | 24 | G-5 | Magnolia Ave | 2 | 40229346 | |
| Kearney, James | 231 | F-4 | Forest Ave | 3 | 72429685 | |
| Keene, William | 232 | 10 | F-5 | Cherry Ave | 3 | 95081693 |
| Kimball, James D. | 232 | 13 | F-5 | Cherry Ave | 3 | 95081798 |
| Larmey, Joseph | 2 | 1 | F-6 | Linden Ave | 2 | 94572794 |
| Leach, Elbridge L. | 232 | 1 | F-5 | Cherry Ave | 3 | 94573036 |
| Lewis, William A. | 228 | G-4 | Forest Ave | 3 | 94573750 | |
| Lincoln, Daniel W. | 96 | E-7 | Cypress Ave | 1 | 94574178 | |
| Linnell, Samuel D. | 177 | 2 | H-8 | Palm Ave | 2 | 72560708 |
| Lovell, Benjamin S. | 110 | C-6 | Oak Ave | 1 | 52521095 | |
| Lovell, Jacob R. | 98 | 2 | D-7 | Cypress Ave | 1 | 95082194 |
| Lovell, James A. | 36 | 2 | C-4 | Hawthorn Ave | 2 | 94634581 |
| Makepeace, Sanford | 264 | H-6 | Cherry Ave | 3 | 68896229 | |
| Mansfield, William | 156 | H-2 | Elm Ave | 2 | 95082505 | |
| Marden, Lewis C. | 142 | 1 | C-4 | Laurel Ave | 1 | 40637053 |
| Marden, Newell | 141 | D-4 | Laurel Ave | 1 | 94635312 | |
| Maynard, George F. | 57 | H-2 | Elm Ave | 2 | 52506837 | |
| Merchant, William F. | 84 | E-8 | Locust Ave | 1 | 40229355 | |
| Miller, Alonzo R. | 94661507 | |||||
| Mitchell, George W. | 2 | 2 | G-6 | Linden Ave | 2 | 94661698 |
| Monroe, Alfred C. | 235 | F-5 | Cherry Ave | 3 | 94661981 | |
| Morse, Oliver A. | 31 | 1 | E-4 | Hawthorn Ave | 2 | 95083212 |
| Perry, George H. | 23 | 1 | H-5 | Magnolia Ave | 2 | 94699213 |
| Perry, Henry | 10 | 2 | A-5 | Magnolia Ave | 2 | 94690651 |
| Porter, Hiram | 98 | 1 | C-7 | Cypress Ave | 1 | 95083843 |
| Pratt, Asa B. | 287 | E-3 | Cherry Ave | 4 | 94691068 | |
| Pratt, Benjamin F., Jr. | 158 | 2 | H-5 | Magnolia Ave | 2 | 94691264 |
| Pratt, George H. | 262 | G-6 | Cherry Ave | 3 | 68896259 | |
| Quinn, Jeremiah | 33 | C-4 | Hawthorn Ave | 2 | 40229401 | |
| Raymond, Benjamin T. | 133 | 2 | A-6 | Acacia Ave | 1 | 75425693 |
| Raymond, Charles W. | 240 | E-5 | Cherry Ave | 3 | 68896268 | |
| Raymond, James G. | 149 | 2 | A-3 | Willow Ave | 1 | 2954069 |
| Raymond, Thomas W. | 28 | F-4 | Hawthorn Ave | 2 | 52551341 | |
| Raymond, Walter Bela | 149 | 1 | A-3 | Willow Ave | 1 | 95103111 |
| Reamy, Joseph H. | 41 | A-3 | Walnut Ave | 2 | 94712796 | |
| Redmond, Charles S. | 1 | 2 | H-6 | Linden Ave | 2 | 94717048 |
| Rice, Stephen L. | 35 | 1 | B-4 | Hawthorn Ave | 2 | 94717760 |
| Rice, Urban B. | 35 | 2 | C-4 | Hawthorn Ave | 2 | 95121080 |
| Shaw, George W. | 142 | 2 | D-4 | Laurel Ave | 1 | 94767451 |
| Sloan, Charles C. | 232 | 4 | F-5 | Cherry Ave | 3 | 95091749 |
| Smith, Richard B. | 8 | A-6 | Linden Ave | 2 | 40229445 | |
| Snow, Stephen D. | 104 | A-7 | Cypress Ave | 1 | 95092077 | |
| Spear, Albert A. | 103 | A-7 | Cypress Ave | 1 | 94770886 | |
| Spear, Josiah Quincy | 67 | C-2 | Elm Ave | 2 | 63974333 | |
| Stetson, Charles Cole | 212 | G-3 | Forest Ave | 3 | 95092127 | |
| Stevens, James H. | 148 | 1 | A-3 | Willow Ave | 1 | 75426501 |
| Sweeting, Putnam | 210 | H-5 | Cherry Ave | 3 | 68896291 | |
| Swift, George C. | 85 | 1 | F-1 | Locust Ave | 2 | 95092165 |
| Taylor, Samuel C. | 108 | B-6 | Oak Ave | 1 | 95092203 | |
| Thomas, Bailey | 92 | G-6 | Oak Ave | 1 | 95092304 | |
| Thompson, Charles H. | 60 | G-2 | Elm Ave | 2 | 95092324 | |
| Thurston, Oscar | 58 | G-2 | Elm Ave | 2 | 95092381 | |
| Tirrell, Augustus | 248 | D-4 | E. Fairmount Rd | 3 | 71018372 | |
| Tirrell, John Wesley | 122 | F-6 | Oak Ave | 1 | 94777042 | |
| Tirrell, Warren | 123 | E-6 | Oak Ave | 1 | 94777119 | |
| Totman, Irving J. | 177 | 1 | H-8 | Palm Ave | 2 | 68896298 |
| Turner, Waldo | 72 | 1 | A-1 | Elm Ave | 2 | 94782852 |
| Turpel, Rufus S. | 119 | H-6 | Oak Ave | 1 | 52600808 | |
| Vogell, Henry B. | 311 | C-7 | E. Fairmount Rd | 3 | 71018387 | |
| White, Russell | ||||||
| Whiting, Charles D. | 31 | 2 | E-4 | Hawthorn Ave | 2 | 52603102 |
| Wrightington, Judah | 177 | 3 | H-2 | Forest Ave | 3 | 76324600 |
| Young, George W. | 39 | 40229454 | ||||
| Young, Job Jr. | 239 | E-4 | Forest Ave | 3 | 95092737 | |
| Spanish American War Briggs, Frank E. | 256 | C-6 | E. Fairmount Rd | 3 | 70957087 | |
| Brown, George H. | 160 | H-7 | Linden Ave | 2 | ||
| Hathorn, Henry | 63 | E-2 | Elm Ave | 2 | 75405296 | |
| Loud, Harry | B | D-4 | E. Fairmount Rd | 4 | 71018220 | |
| MacKenzie | K | D-5 | E. Fairmount Rd | 4 | ||
| Nutting, John | K | D-5 | E. Fairmount Rd | 4 | 71018285 | |
| World War I Adlington, Walter D. | 268 | G-1 | Cherry Ave | 4 | ||
| Burns, Laurence E. | 232 | 16 | F-5 | Cherry Ave | 3 | 95393983 |
| Carter, Maynard D. | P | D-4 | E. Fairmount Rd | 4 | ||
| Coburn, Burdell | 17 | E-6 | Linden Ave | 2 | 95127890 | |
| Ewell, George E. | 21 | F-6 | Magnolia Ave | 2 | 92899725 | |
| Foster, Erwin E. | 67 | C-1 | Elm Ave | 2 | ||
| French, Charles H. | 25 | H-4 | Hawthorn Ave | 2 | 99649714 | |
| Garey, Margaret F. | 1 | 3 | H-6 | Linden Ave | 2 | 96364969 |
| Hawes, John | 232 | 8 | F-5 | Cherry Ave | 3 | 71018175 |
| Humphrey, Ward Fay | 52 | F-3 | Walnut Ave | 2 | 99910390 | |
| Ingham, John H. | 232 | 9 | F-5 | Cherry Ave | 3 | 95393865 |
| Kindelberger, John J. | Acacia Ave | 1 | 101049651 | |||
| Lane, Lawrence | 99658191 | |||||
| Miller, Henry | 232 | 15 | F-5 | Cherry Ave | 3 | 95082983 |
| Simonds, Maurice | 29 | F-4 | Hawthorn Ave | 2 | 52596513 | |
| Totman, James H. | 198 | H-5 | Cherry Ave | 3 | 68896305 | |
| Wallace, Thomas H. | 70 | C-7 | E. Fairmount Rd | 4 | 73906807 | |
| Wheaton, Charles E. | 297 | H-4 | Maple Rd | 4 | 71018399 | |
| Wilcox, John Arthur | 296 | A | G-4 | Maple Rd | 4 | 71018417 |
| World War II Brown, George A. | 70957095 | |||||
| Meyer, Adolph | 232 | 5 | F-5 | Cherry Ave | 3 | 95082836 |
| Wheaton, Roy A., Jr. | 85 | F-1 | Elm Ave | 2 | 100067732 |
Information from: "Veterans Buried in Weymouth MA Cemeteries," Compiled by Base Map of June 1940, Made by Russell M. Whiting